总投资超50亿!涉及贵阳市多个区!旧城改造新进展来了
刚刚过去的四月,
贵阳多个城市更新项目陆续传来动态!
包括花溪十字街、白云共大片区、
经开区华阳区域、白云区云中苑、
乌当区振华地块、
白云区3117厂等城市更新项目。
此外,
云岩东山巷周边、花溪望哨坡片区、
白云区鸡场、清镇巢凤片区、
息烽县南门、乌当区云锦尚城等
棚改旧改项目也有新进展……
具体情况整理汇总如下,
一起来看看吧!
花溪十字街城更项目新动态
项目环评文件已公布,投资超21亿!
4月27日,贵州省招标投标公共服务平台发布花溪区十字街及周边区域新型城镇化暨城市更新项目竞争性磋商公告,预示着花溪十字街城更项目在环评文件公布后再有新动态。

据悉,花溪区十字街及周边区域新型城镇化暨城市更新项目此次采购方式为竞争性磋商,项目预算及最高限价:(1)房屋拆除、构筑物拆除(综合单价):¥124.74元/㎡;(2)外脚手架(综合单价):¥28.49元/㎡;(3)水平通道(综合单价):¥31.86元/㎡。
据了解,花溪区十字街城市更新项目曾于9月14日进行环评报审,并于10月18日进行批后公告。报审文件显示,花溪区十字街城市更新项目位于花溪区阳光街道办事处,北抵花溪河,南沿贵筑路, 东临清溪路,西靠花溪公园。项目地块用地面积约 189 亩,现状房屋 建筑面积约 29.9 万㎡,现状建筑容积率约 2.29。


经过实际调研,根据项目需要,对本地块各类型建筑进行征收拆除重建、征收利用、征收拆除、老旧小区及背街小巷微改造工程。其中旧改部分拟对小区建筑外立面、消防、基础设施等内容进行提升改造,疏 通背街小巷,完善人行设施,同时对乱搭乱建构筑物进行拆除。具体如下所示:
拆除重建部分用地面积约 25.59 亩,总建筑面积约 5.96 万平方米,拟分两期实施,建设内容包括商业及地下室。新建部分为花溪区十字街周边区域通行基础设施完善,总长约2616 米。

拆除重建共涉及三个地块,分别为煤巴厂地块、葫芦坡地块、老乡企局地块,共涉及用地面积约 25.59 亩,房屋征收面积约 46170 平方米(未 含智慧停车场)。
葫芦坡地块:地块涉及土地面积约 14.18 亩,房屋征收面积约 24645 平方米。拟建设约 2.38 万平方米建筑(其中地上 1.85 万平方米, 地下 0.53 万平方米),拟打造成黔食寨子。
老乡镇企业局地块:地块涉及土地面积约 5.91 亩,房屋征收面积 约 12245 平方米,拟建设约 2.35 万平方米建筑(其中地上 1.22 万平 方米,地下 1.13 万平方米),拟打造成花溪美食研究所。
煤巴厂地块:地块涉及土地面积约 5.5 亩,房屋征收面积约 9280 平方米,拟建设约 1.23 万平方米建筑(其中地上 0.96 万平方米,地 下 0.27 万平方米),拟打造成花溪不眠夜。
征收利用类共涉及 16 个地块,涉及房屋征收面积约 26509 平方米。包括:花四幼、花四幼东侧地块、花一幼东侧地块、步行街入口地块、家电经 销处地块、蔬菜公司地块、王记牛肉粉南侧地块、飞碗牛肉粉南侧地块等地块。


征收拆除类共涉及6个地块,共涉及用地面积约 5.85 亩,涉及房屋征收面积约 10516.11 平方米。分别为公厕用地、糖业烟酒公司用地、花一幼东南侧用地、王记背街用地、农行背后用地、菜市场东北侧用地。

老旧小区及背街小巷微改造:十字街片区老旧小区改造工程,涉及居民 2088 户;十字街片区背街小巷微改造工程,涉及 30 条背街小巷。棚户区改造约 530 户 4.62 万平方米,老旧小区改造 2088 户约 25.28 平方米,背街小巷改造 30 余条约 1900 米。
清溪路-花冠路节点改造:涉及十字街周边清溪路-花冠路节点改造,改造范围起于贵 航电讯总站住宅区东门(K1+494),向南延伸至兰馨桂馥花园东门 (K2+510),全长 1016m。建设内容包含道路工程、桥梁工程、排水 工程、给水、电气、照明、交通等配套设施改造。


甲秀南路—花桐北路节点改造:涉及十字街周边甲秀南路—花桐北路节点改造。道路起点 接贵筑路与甲秀南路交叉口,终点接花冠路与花桐路交叉口。项目全 长约 1600m(包括立交匝道与渐变段)。内容包括道路路线、路基、 路面、隧道、桥涵、立交、人行地道、边坡防护与支挡,以及相配套 的雨污水管道、交通工程、安全与管理设施、照明及供配电、景观及 绿化及苗木其移栽和保护、道路消防与通风、地下管线与地上杆线等 附属工程改造。

此外,文件还涉及到清溪路三座天桥建设(新建两座人行天桥及一座景观天桥)。

项目总投资约219444.49万元。其中工程费用123239.9万元,工程建设其他费用6667.16万元,预 备费3897.21万元,建设期利息6365.45万元,土地费用79274.77万元,总建设周期为两年。
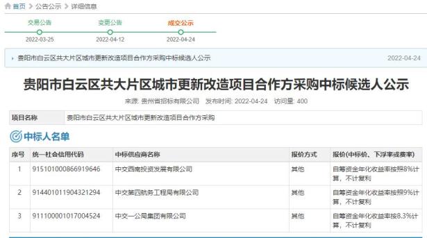
白云共大片区城更项目新动态
占地面积约247.84公顷,
拟投资约33.85亿!
4月24日,贵州省招标投标公共服务平台发布贵阳市白云区共大片区城市更新改造项目合作方采购中标候选人公示。据公示显示,该项目第一中标候选人为中交西南投资发展有限公司。

据悉,贵阳市白云区共大片区城市更新改造项目范围为白云区云峰大道、白云中路、金园路及文化宫、白云公园片区围合的区域,占地面积约247.84公顷,以及相关建设项目所涉及的区域。
项目静态投资约338544.13万元,由建设投资费用【180823.89】万元(包括工程费用【165977.32】万元、工程建设其他费用【9330.28】万元及预备费【5516.29】万元)、土地相关费用【157720.24】万元(含土地一级开发实施单位2%管理费)。

合作范围内片区开发的具体内容为:项目整体开发策划、土地征收、房屋征拆、土地平整、安置房建设、旧改提升工程、基础设施及公服配套建设、片区综合运营维护管理及产业引导培育等。
项目分三期开发,其中:一期为文化宫地块、BY-08-03-02地块和BY-08-03-07,同时,改造温州城旁小区;二期为BY-08-03-03、BY-08-03-06、BY-08-02-08和BY-08-02-09,同时改造七冶居民楼和90年代老旧小区;三期为BY-08-02-06、BY-08-03-04及BY-08-03-05,同时改造西南家具城小区。具体地块出让面积如下图:

该项目合作方式及期限为丙方(贵阳白云城市更新发展有限公司)通过公开招标方式引入乙方,入股丙方,项目公司组织本项目实施,项目合作期限暂定为7年(建设期5年 )。项目采用总体规划与分期建设相结合原则,实行整体策划、分步实施、滚动开发、封闭运作。根据规划区域特点和功能、市场需求、土地供应等因素,综合考虑项目开发成本及收益平衡的前提下,确定合理的开发建设计划。
据了解,目前共大片区城市更新项目已经发布过多则信息。其中共大片区棚户区城中村改造新世界安置点建设项目规划于去年8月18日发布。
根据规划信息,白云区共大片区棚户区城中村改造新世界安置点建设项目总用地面积为167156.53平方米,绿地面积为41836.47平方米,绿地率为35%;

总建筑面积为553455.74平方米,计容建筑面积418181.59平方米,建筑密度23.95%,容积率3.5,最高建筑高度为99米,最高建筑高度为33层,总建筑栋数为25栋。规划总户数3414户,停车位4150个,其中室内停车位3736个。

项目公建配套方面有幼儿园2所、托老所、农贸市场、便利店、综合快递服务站、卫生站、社区邮政服务站、文化活动站、活动场地等。
经开区华阳区域城更项目新动态
涉及征收面积约8.39万方!
4月27日,贵州省招标投标公共服务平台发布华阳区域城市更新(棚户区)改造项目(国有)劳务代办单位采购采购公告。项目招标预算为10070000.00元,这预示着该项目的房屋征收拆迁工作或将开始。

据悉,华阳区域城市更新(棚户区)改造项目(国有)劳务代办单位采购招标人为贵阳经济技术开发区房屋征收中心,项目红线范围内涉及国有土地上房屋征收面积约83902㎡。项目资金来源为所属项目工作经费,招标预算为10070000.00元。
项目服务内容涉及国有土地上企业房屋、国有居民房等。其中,涉及国有土地上企业房屋征收:劳务费按项目已签订房屋征收补偿协议总金额的1%计算,所涉及费用从项目工作经费中列支;涉及国有居民房屋征收:劳务费按征收补偿协议实际签约确认的面积120元/㎡计算(实际签约的房屋测绘面积含砖混、砖木、其他结构,不含钢架棚和附属设施),所涉及费用从项目工作经费中列支,据实结算。
据了解,截至目前,该项目已完成项目可行性研究报告编制单位、项目融资咨询服务等招标工作。

白云区云中苑城市更新项目新动态
规划建面22万方,总投资逾11亿元!
4月25日,贵阳市公共资源交易中心发布白云区云中苑城市更新建设项目平场工程招标公告。

据悉,白云区云中苑城市更新建设项目平场工程已由贵阳市白云区发展改革局以关于白云区云中苑城市更新建设项目可行性研究报告的批复,白发改投资【2021】109号批准建设,招标人(项目业主)为贵阳白云工业发展投资有限公司,建设资金来自 自筹 ,项目出资比例为 政府投资:30%;国有自筹:70%。项目已具备招标条件,现对该项目工程施工进行公开招标。
建设地点位于白云区云环中路南侧,规划总建筑面积228480.87平方米(其中计容面积178019.64平方米,不计容面积50461.23平方米),项目总投资113871.76 万元。
此次招标范围为本工程施工设计图、工程量清单及招标文件所示全部内容。本标段投资为38547393.54 元,工期300日历天。

据了解,今年1月7日,贵阳市自然资源和规划局发布白云区云中苑城市更新项目公示。云中苑城市更新建设项目位于白云区金苏大道与云环中路交叉口,申报单位为贵阳白云工业发展投资有限公司。
该项目总用地面积72689.02平方米,其中居住用地比例为60.78%,商业服务业设施用地比例为39.22%,绿地面积为21981.5平方米,绿地率30.24%。


项目总建筑面积228480.87平方米,计入容积率面积为178019.64平方米,分别为回迁安置房107115.62平方米,公建配套2240.06平方米,商业设施68663.96平方米。共16栋建筑,建筑密度为29.43%,容积率2.44,最高建筑高度为99.4米,最高建筑层数为21层。规划总户数968户,停车位1344个,其中1288个为室内平面车位,56个为室外停车位。
项目规划有6班幼儿园(小区东北侧)、社区卫生服务站(小区二期西侧)、农贸市场、青少年活动中心、体育运动场地、垃圾收集站等公建配套。
该项目周边交通便利,有金苏大道与云环中路两条主干道,方圆两公里内,有白云区第七小学、白云区实验中学、贵州医科大学附属白云医院、塔山公园等配套设施。
乌当区振华地块城更项目新动态
总投资13.55亿,总建面逾18万方!
4月21日,贵阳市公共资源交易中心发布乌当区振华地块城市更新项目监理、勘察、设计等4则招标公告。



据悉,乌当区振华地块城市更新项目招标人(项目业主)为贵阳乌当工业投资有限公司,建设资金来自国有 ,项目建设地点位于乌当区东风镇九灌塘。
项目主要包括拆除重建和综合整治两部分,总用地面积277098.61平方米;计划总建筑面积180651.26 平方米; 其中计容面积159136.06平方米,不计容面积21515.20平方米。总投资:135500万元。
其中,监理招标范围为施工阶段监理(同施工工期,包含对施工单位农民工实名制台账的建立进行监督管理)、勘察阶段、设计阶段、保修阶段监理(包含配合竣工资料档案的管理、移交及备案办理)(勘察阶段、设计阶段、保修阶段) 相关服务监理, 以及专业技术咨询、外部协调工作等 (专业技术咨询、外部协调工作等)其他服务。
勘察招标分为一、二标段,一标段招标范围为D01、D02、D03 、D04、D05、D06、D07、D08、D09、D10、D11、D12等建(构)筑物勘察;其中最大单体面积 35000 平方米,边坡垂直高度 15 米以上;场区红线内挖方边坡、填方边坡勘察及岩土设计(D01 栋、D02 栋、D12 栋厂房东侧边坡除外)及相关附属工程的地质勘察(含初勘、详勘、边坡设计、技术资料、后期服务及补勘等)全部内容。(说明本次招标项目的建设地点、规模、勘察服务期限、招标范围、标段划分等),工期60日历天。
二标段招标范围为D01栋、D02栋、D12栋厂房东侧边坡勘察、岩土工程设计、专项施工勘察,该段边坡全长280米,垂直开挖高度超 15 米及相关附属工程的地质勘察(含初勘、详勘、边坡设计、地质灾害评估服务、技术资料、后期服务及补勘等)全部内容。(说明本次招标项目的建设地点、规模、勘察服务期限、招标范围、标段划分等),工期60日历天。
设计招标范围完成本项目方案设计、初步设计(初步设计说明书、初步设计概算书、初步设计图纸等)、施工图设计(含设计技术交底、解决施工中的设计技术问题、服务及咨询工作和竣工验收等项目)等全部设计内容。(最终设计范围以招标人确定的为准),工期为60日历天。
据了解,今年年初乌当区官微发布省政府批复同意贵阳市乌当区振华高穴片区土地征收成片开发方案相关资讯,乌当区城市更新或将迎来新进展。
据披露,省政府对贵阳市《关于报请批准贵阳市乌当区振华高穴片区土地征收成片开发方案(2021—2022年度)的请示》作出批复,主要内容如下:
一、原则同意贵阳市所报的乌当区振华高穴片区土地征收成片开发方案。
二、贵阳市要坚持新发展理念,认真贯彻落实《中华人民共和国土地管理法》,注重保护耕地,注重维护农民合法权益,注重节约集约用地,注重生态环境保护,妥善处理好开发与保护的关系,依法组织实施土地征收,促进经济社会高质量发展。
三、乌当区要严格按照土地征收成片开发方案确定的时序计划和规划用途,科学组织实施成片开发,优先保障基础设施、公共服务设施以及其他公益性项目用地,依法办理建设项目用地相关手续。要加强土地征收成片开发方案与国土空间总体规划的衔接,对土地征收成片开发方案范围不在城镇开发边界集中建设区的,应依据批准的国土空间总体规划重新编制方案并按程序报批。要及时做好土地征收、供应和利用等各项备案工作。
四、省自然资源厅要加强对地方人民政府土地征收成片开发以及相关政府信息的公开等工作的指导和监管。
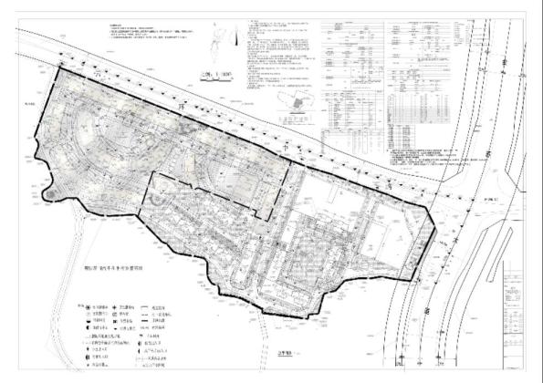
白云区3117厂城市更新改造项目新动态~
总建面10.4万方!
4月21日,贵州省招标投标公共服务平台发布贵阳市白云区3117厂城市更新改造项目(二期)设计设计招标公告。

据悉,本次招标项目贵阳市白云区3117厂城市更新改造项目(二期)设计已由贵阳市白云区发展改革局以贵州省企业投资项目备案证明(项目编码:2111-520113-04-01-776922)批准建设,项目业主为贵阳白云城市运营维护投资(集团)股份公司,招标人为贵阳白云城市运营维护投资(集团)股份公司。
项目建设地点位于贵阳市白云区金园路63号;新建建筑总面积104082平方米,新建住宅用房总建筑面积68959平方米,新建新型产业配套附属用房总建筑面积35123平方米。
主要建设内容为:新建住宅用房、新型产业配套附属用房、配套附属工程、绿化景观工程、照明工程、管网工程、充电桩基础设施、给排水管网工程及其他附属工程等。
二期建安投资为29431.16万元,二期设计费为500.00万元。
本次招标范围包括方案设计、施工图设计(建筑、结构、给排水、电气、暖通专业设计)、装配式设计、景观设计、海绵城市设计等的设计到工程交工验收完成为止的全部设计服务工作。设计服务期限:45天。

项目位置示意图
据了解,该项目交通便利,临近金园路、白云南路、南湖东路、金阳北路、地铁2号线云峰大道站、泉湖公园站等。
周边有白云区第五中学、白云区第九小学、白云区第七初级中学、贵州省人民医院白云分院、白云区红云社区卫生服务中心、白云区中医医院等医疗教育中心。
贵阳欢乐世界、大人山公园、泉湖公园等休闲娱乐场所;还有金阳新世界花园、碧桂园·云顶壹品、南湖里等品牌房企项目。
云岩东山巷周边棚改项目施工招标
总建面约2.94万方!
4月29日,贵州省招标投标公共服务平台发布贵阳市 2014 年城市棚户区改造项目(二期) 贵阳市云岩区宝山北路东山巷周边地块项目施工招标公告。

据悉,贵阳市2014年城市棚户区改造项目(二期) 贵阳市云岩区宝山北路东山巷周边地块项目已由贵阳市云岩区发展和改革局以云发改投资[2021]158号批准建设,项目业主为贵阳云岩贵中土地开发基本建设投资管理集团有限公司,建设资金来自单位自筹资金,项目出资比例为100%,招标人为贵阳云岩贵中土地开发基本建设投资管理集团有限公司。
项目建设地点位于贵阳市云岩区宝山北路东山巷,项目建筑面积为29489.65平方米,地上建筑总面积20235.78平方米,其中住宅安置房建筑面积18401.2 平方米、公共配套用房建筑面积为1834.58平方米(生鲜超市、 治安值班室、居委会办公服务用房、物业服务用房、社区服务用 房和公共厕所等),地下车库面积9253.87平方米。
此次招标范围为项目工程量清单及答疑文件所含全部内容,包含各种调试及项目整体移交、质量缺陷责任期内的缺陷修复等相关工作。计划工期900天。
花溪望哨坡片区旧改项目新进展
改造户数1703户!
4月25日,贵阳市公共资源交易中心发布贵阳市花溪区2021年望哨坡片区老旧小区改造项目(二期)施工中标候选人公示。

据悉,贵阳城南投资开发(集团)有限公司、贵州新山水招标有限公司的贵阳市花溪区2021年望哨坡片区老旧小区改造项目(二期)施工第一中标候选人为贵州建工溪南建筑工程有限公司,投标价12053139.08元,工期90日历天。
贵阳市花溪区2021年望哨坡片区老旧小区改造项目(二期)施工项目建设地点位于花溪区。改造户数1703户,建筑面积120998.2平方米。主要改造内容为建筑外墙面修缮(包括金属线条,涂刷真石漆,外墙清洗、外墙修补、商铺门头规整,更换防盗网)、烟道规整、环卫设施整治,便民通道修缮、小区门头门禁、郦城小区停车位规整、屋面修整、景观整理,围墙工程、消防设施更换等。投资金额1856.12万元。

项目所在示意图
白云区鸡场棚改安置房项目新动态
投资逾8亿,总建面约10万方!
4月14日,贵州省招标投标公共服务平台发布白云区鸡场棚户区城中村改造东片区(鸡场村一期)安置房建设项目勘察、设计、施工总承包中标结果公示。
据悉,白云区鸡场棚户区城中村改造东片区(鸡场村一期)安置房建设项目勘察、设计、施工总承包中标人名称:江苏屹峰建设工程有限公司(联合体牵头人)、贵州开程岩土工程有限公司(联合体成员)、贵州省建筑设计研究院有限责任公司(联合体成员)。中标价:施工下浮率3%、勘察报价:110元/米;设计报价:26元/平方。

据了解,白云区鸡场棚户区城中村改造东片区(鸡场村一期)安置房建设项目业主为贵阳白云城市建设投资集团有限公司,建设地点位于白云区鸡场村片区地块2-08-06。项目投资83092.11 万元 ,工程建设费估算:54243.83万元,工程设计费估算:980.69万元,勘察费估算:358.01万元。
规划总建筑面积120071平方米,绿地面积为8110.67平方米,总计容建筑面积80576平方米,其中:住宅面积73590平方米,共5栋建筑,设置650套住房;服务性用房5641平方米,配套设施用房1345平方米,不计容建筑面积39495平方米,地下车库为29280平方米,人防面积为9210平方米,地下停车位954个,设置两个出入口,地上停车位81个。(新建5栋住宅建筑、公共配套设施用房为警务室、物业服务用房、消防控制室、农贸市场、公共卫生间、体育活动场地等及服务性用房、绿化景观、室外照明、充电桩基础设施、给排水管网配套基础设施等。),计划工期730天。(注:本段中项目总用地面积、总建筑面积等以下方规划文件为准)。

清镇巢凤片区棚改项目有新进展
涉及7.3万方征收面积!
4月12日,贵州省招标投标公共服务平台发布关于清镇市巢凤片区棚户区改造项目(一期)(房屋拆除、渣土外运、场地平整等)服务招标公告。

据悉,清镇市巢凤片区棚户区改造项目(一期)项目涉及被征收户共计285户(含公产),涉及征收面积约73000㎡。其中房屋拆除面积约1450000平方、渣土外运1578066立方米、场地平整约311.6亩,本标段建安费约为3228.68万元。
此次招标人(项目业主)为清镇市产业投资有限责任公司,招标范围为该项目房屋拆除、渣土外运、场地平整等相关服务内容,计划服务期为90日历天。
据了解,清镇市巢凤片区城市棚户区改造项目位于清镇市巢凤片区,建设单位为贵州和安房地产开发有限公司,项目投资720000万元。
项目占地约705358平方米(1059亩),总建筑面积约为2034020平方米,计容建筑面积1544238平方米(其中住宅建筑面积1324890平方米,商业101338平方米,共享发展用房3049平方米,三变经营性用房15249平方米,公建配套99712平方米)不计入容积率面积489782平方米,机动车停车位14008辆(其中地上停车位1602辆,地下停车位12406辆),非机动车停车位20421辆。
该项目建筑密度29.05%,容积率2.63,预计投产日期为2023年7月9日。
息烽县南门城市棚户区改造
总建面3.6万方,涉及174户!
4月11日,贵阳市公共资源交易平台发布息烽县2016-2017年南门城市棚户区改造项目监理招标公告。

据悉,本次招标项目息烽县2016-2017年南门城市棚户区改造项目监理已由息烽县发展和改革局以息烽县发展和改革局关于息烽2016-2017年南门城市棚户区改造项目立项的批复,息发改项【2018】147号批准建设,招标人(项目业主)为息烽县城投房地产开发有限公司。
项目位于息烽县永靖镇,涉及新建住宅户数174户;用地面积7074.90平方米,总建筑面积36821.87平方米;其中,住宅建筑面积21372.84平方米,商业面积3054.23平方米,地下车库面积12114.32平方米,治安值班室、社区邮政服务站、居委会办公服务用房、社区文化图书室、物业服务用房、电商中心等公共服务设施面积为280.48平方米;绿地面积1780.65平方米;道路面积1100平方米;给排水管网及雨水管网各150米。
项目建筑安装工程费为7162.61万元 ;本次招标范围为施工阶段监理及保修阶段监理。
乌当区云锦尚城(安置小区)
棚户区改造项目发布批前公示
总建面1.8万方!
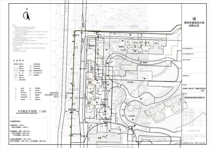
4月7日,贵阳市自然资源和规划局关于云锦尚城(安置小区)F1期棚户区改造项目-8号楼行政审批批前公示。

据悉,本次项目为云锦尚城(安置小区)F1期棚户区改造项目-8号楼,建设单位为贵阳泉丰城建设投资有限公司,该项目位于贵阳乌当区东风镇云锦村,建设用地面积49114.50平方米。

总平面图
据公示,该项目主要技术经济指标为:总建筑面积18271.78 平方米;其中,计容面积14441.95平方米(住宅11942平方米、公建配套2499.95平方米);不计容面积3829.83平方米:停车位103个(室内停车位103);建筑占地面积847.80平方米;建筑层数15层;最高建筑高度46.80米。
白云区车辆厂、白沙关文明小区
等多个区域有望旧改
涉及4445户!
近日,白云区人民政府官网发布了龚家寨街道、同心路商住楼、车辆厂新一区、车辆厂生活一区、白沙关文明小区、车辆厂二区等老旧小区改造项目-可行性研究报告编制单位遴选公告及招标代理遴选公告。据公告,以上老旧小区改造项目共涉及115栋建筑、4445户,具体情况如下:

白云区2022年(龚家寨街道、同心路商住楼、车辆厂新一区、车辆厂生活一区)老旧小区改造项目-可行性研究报告编制单位遴选公告的招标人为贵阳白云城市运营维护投资(集团)股份公司,项目总投资4845.05万元,项目地点为龚家寨街道、同心路商住楼、车辆厂新一区、车辆厂生活一区。
其中,龚家寨街道小区现有建筑10栋,居民410户;同心路商住楼现有建筑5栋,居民260户;车辆厂新一区现有建筑13栋,居民573户;车辆厂生活一区现有建筑44栋,居民1374户。主要建设内容为屋面防水修缮工程、沿街四栋楼外立面改建工程、楼道修整工程、原路面白改黑工程、监控门禁系统工程、立面线路工程及其他附属工程等。
本次招标服务内容为对该项目进行可行性研究报告编制,以立项金额作为取费基数,待可研获得行业主管部门审批,并取得可研批复后,一次性支付可研编制服务费。

白云区2022年(白沙关文明小区、车辆厂二区)老旧小区改造项目-可行性研究报告编制单位遴选公告的招标人为贵阳白云城市运营维护投资(集团)股份公司,项目总投资2664.14万元,项目地点为白云区白沙关文明小区、都拉营车辆厂。
其中,白沙关文明小区现有建筑28栋,居民1278户;都拉营车辆厂现有建筑15栋,居民550户。主要建设内容为红砖房外立面改造工程、绿化工程、入口无障碍改造工程、地面铺装工程、安防监控工程及其他附属工程等。
本次招标服务内容为对该项目进行可行性研究报告编制,以立项金额作为取费基数,待可研获得行业主管部门审批,并取得可研批复后,一次性支付可研编制服务费。
原标题:《总投资超50亿!涉及贵阳市多个区!旧城改造新进展来了》

