网红抽脂感染去世,华西医院医生告诉你抽脂的真相→
杭州女子小冉5月2日到杭州华颜医疗美容医院做吸脂填充手术,两个多月后因全身感染造成多器官衰竭,于7月13日抢救无效死亡,事件引起社会舆论广泛关注。
7月15日,杭州市卫生健康委发布情况通报,
今年5月2日,戴某某到华颜医疗美容医院接受抽脂等医美手术,术后出现感染性休克,后经绿城医院、浙二医院全力救治,最终于7月13日死亡。
经市医学会组织专家评估,这是一起医疗事故,华颜医疗美容医院存在术前缺乏认识、术中操作不当、术后观察处理不及时等过错,与患者死亡存在因果关系,承担全部责任,并已作出赔偿。同时,西湖区卫健局对涉事医院做出警告和罚款的处罚,责成其停业整改,对负有责任的医务人员将做出进一步处理。
我市将对此医疗事故举一反三,加强医疗机构执业管理,加大对医美乱象的整治。
杭州市卫生健康委员会
2021年7月15日
在无家属陪同的情况下进行全麻手术
记者采访小冉家属得知,5月2日,小冉到杭州华颜医疗美容医院进行了抽脂和脂肪填充的咨询,随后在医院做了各项身体检查及评估后,医生对小冉实施了三个手术项目:腰腹吸脂修复术、双上臂吸脂术和自体脂肪二次填充乳房术。
杭州华颜医疗美容医院“由于小冉手术前没有提前告知,是独自前往医院的,所以家属并不了解小冉在几个小时的手术中到底发生了什么。直到5月4日早上6点34分接到杭州绿城心脑血管病医院ICU医生打来的电话通知,说小冉已多器官衰竭,请家属尽快赶往医院。我们焦急的赶到医院的时候,ICU的医生告知我们,小冉的情况很不乐观,随时都有生命危险,为什么那么晚才送来,已经错过了最佳治疗时间。”小冉的家属告诉记者。
浙江绿城心脑血管病医院出院记录据医院的记录,小冉的术前麻醉时间为5月2日中午12点50分,手术开始于下午1点05分,结束于下午5点40分。
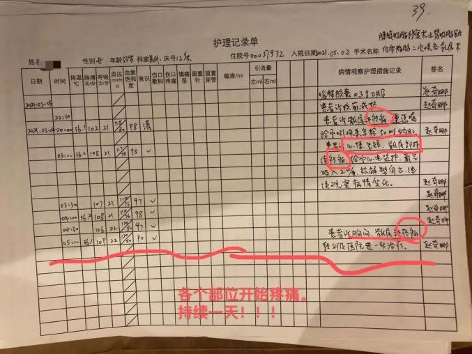
杭州华颜医疗美容医院术后护理单
杭州华颜医疗美容医院术后护理记录单护理记录单上的术后记录显示,小冉手术后至5月4日凌晨五点小冉一直出现疼痛,并伴有气短心悸等症状。
“看到这些生冷的文字,我们都能感受到她当时的痛苦。我们后面才了解到,是小冉疼得不行自己打的120急救电话,才被送去的医院。“家属告诉记者,华颜医疗在小冉表达痛苦的时候只采用了简单的用药,以为是普通抽脂手术的疼痛但一直没有得到缓解,期间曾休克昏迷医生还以为她是在睡觉。5月5日,经家人商榷,小冉被转入浙江大学医学院附属第二医院进行治疗,在转院的过程中家人第一次见到术后的小冉,多器官衰竭,前胸到肚子皮肤大面积溃烂,浮肿。
由于错过了最佳治疗时间,只能在医院通过多种医疗机器和药物维持小冉的生命体征。期间浙江第二人民医院为小冉做了两次全身杀菌手术,直到7月13日肠胃大出血,医生进行了奋力抢救,最终也还是没能阻止再生细菌继续感染在ICU熬了两个月的小冉离开了人世,年仅33岁。据天眼查APP显示,杭州华颜医疗美容医院成立于2018年6月,注册资本为1000万人民币,目前该公司由杭州悦颜医疗科技有限公司和杭州俪颜医疗科技有限公司共同持股,经营范围为医疗美容科,美容外科,美容皮肤科,美容牙科,美容中医科/麻醉科医学检验科(临床化学检验专业、临床免疫、血清专业),内科、临床体液、血液专业等。
天眼查信息据国家卫健委医生执业注册信息查询显示,为小冉进行吸脂手术的主刀医生高强的医师级别为执业医师,执业范围为外科专业。多机构备案信息显示,除了在杭州华颜医疗美容医院执业外,高强还在杭州群英整形外科门诊部有执业备案。

小冉的主刀医生暂停营业无人交涉
家属九问涉事医院
7月14日,记者了解到,杭州华颜医疗美容医院目前已暂停营业,但医院尚无相关人员出面与家属就事故进行沟通,对小冉进行手术的医生也注销了个人微博。记者拨打该院电话,也一直处于无人接听状态。
小冉的家属告诉记者,他们对医院的判断和处理有九个疑问:
一、误诊问题:小冉应该是急性坏死性筋膜炎或者手术感染至休克,术后出现疼痛,医生只是当做正常的术后反映,常规的给与止痛,对症治疗,没有及时的向上级医生汇报和及时的处理,耽误了病情,加之小冉术后未能及时活动,引流不畅,渗出液堆积在皮下造成感染,最后导致感染性休克发生,致多脏器功能衰竭,如果当时及时的清创和处理(最佳时间应该是5月3日),小冉不会有生命危险。
二、没有及时检查:发现问题后没有及时的复查血分析、电解质、生化等检查,导致误判病情。
三、术后医嘱医生不是手术医生本人,对患者病情不了解,原则上是不允许的,医生未能意识到感染发生,一直给与止疼镇静处理,掩盖病情。
四、手术时间是否过长?12:40---17:40,吸脂2000ml,纯脂肪1500ml,手术时间5小时太长造成了术中感染。
五、术后没有及时的记录病情变化,医疗文书书写有问题。
六、该医院的环境和器械,是否有医源性感染的问题?手术室无菌环境是否达标?手术器械是否符合灭菌要求?消毒铺单是否过关?术后换药间是否达到院感要求?医生的无菌操作是否过关?
七、术区大片瘀斑,术中创伤面积大,医生操作不当,提示吸脂层次过浅,操作粗暴。
八、未见医疗器械、敷料消毒合格监测标示卡。
九、手术护理记录单标用了电刀,但无贴电极板的位置,护理记录单中5月2-4号患者几次诉疼痛,均只给予止痛处理,未见任何辅助检查及处置。
整形手术有风险
变美需谨慎
2019年11月14日,成都女孩小李在闺蜜的陪同下到位于成都市高新区神仙树南路的瑞斐思医疗美容机构做抽脂手术,在抽脂过程中,小李出现了异常反应,转院后因抢救无效死亡,年仅32岁。
据了解,吸脂手术就是通过一根长约50厘米的金属空心管经皮肤插入到脂肪层,管子后方连接带有负压的机器,将脂肪少量多次吸出体外,目前受到众多爱美人士的青睐。
虽然该手术目前相对来说比较成熟,但也有一定的风险性,除了严重的皮肤坏死致人死亡外,抽脂手术最危险的并发症就是脂肪栓塞以及大出血。脂肪血栓就是大量脂肪进入血管,进入人体血液循环,于是堵塞肺动脉,引起肺堵塞,从而导致呼吸困难、衰竭和死亡的情况的发生。
杭州女子做吸脂手术死亡
华西医院医生告诉你抽脂的真相
7月13日,杭州女子小冉因吸脂手术失败不幸身亡,此事件在美容界引起强烈关注。抽脂手术为何会造成死亡?其风险有哪些?广大爱美人士应该如何解决身体上堆积已久的脂肪?记者采访了四川大学华西医院整形外科烧伤科医生许学文。
据许学文主任介绍,小冉的去世,是抽脂后出现败血症,引发感染性休克,最终因多器官功能衰竭导致的。
许学文介绍说,因为抽脂而导致败血症的案例并不少见,华西医院就曾接诊了一名在一家美容机构抽脂而出现重度昏迷的患者,华西医院对该患者进行了抢救,最终从死神的手中将该女士的生命抢了回来。
据了解,吸脂手术是通过一根长约50厘米的金属空心管经皮肤插入到脂肪层,管子后方连接带有负压的机器,将脂肪少量多次吸出体外,目前受到众多爱美人士的青睐。
虽然该手术目前相对来说比较成熟,但也有一定的风险性,除了严重的皮肤坏死致人死亡外,抽脂手术最危险的并发症就是脂肪栓塞以及大出血。脂肪血栓就是大量脂肪进入血管,参与人体血液循环,于是堵塞肺动脉,引起肺堵塞,从而导致呼吸困难、衰竭和死亡等情况的发生。
许学文介绍,尽管抽脂手术操作不难,但是工程量较大,以腹部腰部抽脂为例,至少需要三个小时,创面较大,需要对患者实施全麻手术。而且手术对抽脂的环境、无菌、消毒等要求非常严格。有的美容医院手术室达不到标准,可能在操作过程中出现了污染,也有可能是手术包出现了污染,甚至还有的为了节省成本,反复使用抽脂的管道,这些都是造成感染的因素。
哪些人需要做抽脂手术?抽完脂肪之后是否可以一劳永逸,随便吃喝?许学文表示,腹部、髋部、大腿的脂肪堆积是很多爱美人士面临的难题。抽脂,的确可以抽掉脂肪细胞,让这些部位在短时间内达到改善体型的目的,但是如果不控制饮食,不加强运动的话,其他没有抽脂的部位,比如背部、臀部等依然会蓄积脂肪。因此,“管住嘴迈开腿”是对所有爱美人士的“万能处方”。
许学文告诉记者,华西医院专门设立了体型管理门诊,医生会通过饮食调节、内分泌药物管理、缩胃手术等方式,综合评估患者适合哪一种治疗,而不会单纯地建议患者抽脂。许学文建议,对于抽脂的爱美人士来说,最好是到正规医院进行咨询并接受治疗,减少风险。
原标题:《网红抽脂感染去世,华西医院医生告诉你抽脂的真相→》

