好消息
南泉路1300弄3号、4号、10号楼
将加装电梯啦!
更多详情快和小布一起来看看吧

“上海市浦东新区南泉路1300弄3号、4号、10号既有多层住宅加装电梯项目”规划设计方案的公示

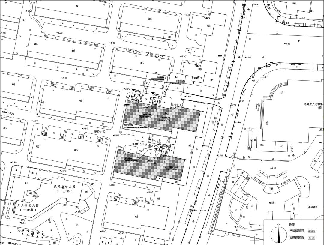
建设工程方案平面示意图
项目名称
上海市浦东新区南泉路1300弄3号、4号既有多层住宅加装电梯项目
建设单位
上海市浦东新区塘桥小区业主委员会

效果图
原建筑层数:6层
居民户数:一梯3户,共18户
建设内容:
1. 在各自单元楼梯间北侧外部增设无机房电梯一部(设5站,半层入户)
2. 增设由电梯至休息平台之间的封闭连廊
3. 增设底部出入口无障碍坡道
分层面积表

主要经济技术指标

项目名称
上海市浦东新区南泉路1300弄10号既有多层住宅加装电梯项目
建设单位
上海市浦东新区塘桥小区业主委员会

效果图
原建筑层数:6层
居民户数:一梯4户,共20户
建设内容:
1. 在本单元楼梯间北侧外部增设无机房电梯一部(设6站,平层入户)
2. 增设由电梯至休息平台之间的封闭连廊
3. 增设底部出入口无障碍坡道
分层面积表

主要经济技术指标

公示详情
公示期限:2021年9月8日至2021年9月17日
公示采取书面信函方式听取公众意见
反馈意见的信函请寄:浦东新区峨山路487号塘桥街道办事处,邮编:200127,请在信函封面注明“加装电梯方案公示意见”。
反馈意见截止日期:2021年9月24日前,以寄出邮戳为准。
原标题:《浦东这个小区拟加装三部电梯!方案公示中→》